снимки на еридина лозанова
Близо 2 кг. марихуана иззеха при спецакция старозагорски криминалисти
На 18.10.2025 г.,служители от сектор "Противодействие на криминалната престъпност" при ОДМВР-Стара Загора са провели специализирана полицейска операция с…
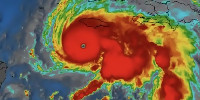
Най-мощната буря в света за 2025 г. взе първите си жертви на Карибите (видео/снимки)
Синоптиците смятат, че той може да се превърне в най-силния, удрял някога района, с ветрове от 282 км/ч…
Почетният консул на България в Лас Вегас Робърт Милър е отличен за приноса си към българо-американските отношения (СНИМКИ)
Той е удостоен със „Златна лаврова клонка“
"Луда с котки" - Памела Андерсън отнесе подигравки заради външния си вид (ВИДЕО)
Холивудската актриса и Playboy модел Памела Андерсън беше критикувана заради новия си външен вид. Снимки и коментари бяха…
22 ранени, 4 рухнали сгради и стотици сигнали до спешния телефон след труса в Турция (снимки)
В Истанбул, Бурса, Измир и Текирдаг хиляди хора прекараха нощта в джамиите и училищата, които бяха отворени за…
Никол Кидман разходи рокля с цепка на ревюто на Vogue World (ВИДЕО)
Холивудската актриса Никол Кидман се появи публично, облечена в рокля с цепка, след новината за развода си с…
Историята на първата котка, изстреляна в Космоса
В снимки и спомени - как едно улично коте от Париж стана част от космическата надпревара
След бедствието: Исландският град, изоставен заради вулканите (СНИМКИ)
Защо обаче той се превръща в туристическа атракция
Русия обяви извънредно положение след двете украински атаки срещу язовирната стена на Белгородското водохранилище ВИДЕО
Властите в Русия обявиха извънредно положение след двете атаки на Въоръжените сили на Украйна (ВСУ) срещу язовирната стена…
Доналд Тръмп потвърди: Преминах изследване с ядрено-магнитен резонанс. Беше перфектно
Президентът на САЩ Доналд Тръмп, който е на обиколка в Азия, днес съобщи, че в началото на месеца…
Силно земетресение разлюля Турция, усетено е и у нас (ВИДЕО+СНИМКИ)
Дълбочината на труса е 6 км
Автобус с 14 работници надвисна над дере след катастрофа с ТИР край Харманли (снимки)
Всички пътници са извадени невредими от превозното средство
Скандинавското кино с приоритет на тазодишното издание на Киномания
Неизменна и дългоочаквана част от „Киномания“ е акцентът върху скандинавското кино. 39-ото издание, което продължава от 13 до…
Русия е изчерпала запасите си от танкове, но увеличава производството им
Във войната си в Украйна Русия е изчерпала по-голямата част от старите си танкове, които могат да бъдат…
Меган Маркъл сподели кадри с Хари и децата си от тиквена ферма (СНИМКИ)
Кадрите показаха и проблясъци от рижавите коси на принцеса Лилибет и принц Арчи, наследени от баща им,
Мъжът на Теодора Духовникова е новият наемател на заведението на Мартин Нотариуса
Съпругът на актрисата Теодора Духовникова – бизнесмена Стефан Духовников, вече разполага със заведението, където допреди месеци се помещаваше…
Ослепителната половинка на Норис блести на 23-я си рожден ден
Ослепителната приятелка на звездата от Формула 1 Ландо Норис - Маги Корсейро, отпразнува своя 23-ти рожден ден със…
Посрещнаха с почести Румен Радев в Саудитска Арабия (снимки)
Президентът е в Рияд заедно със съпругата си за участие в инвестиционен форум по покана на престолонаследника принц…
От Газа, през Сирия, та до разширяване през Баку на Авраамовите споразумения
На форум „Срещите на века на Турция” в Истанбулския конгресен център Ердоган казва „нищо от Сирия до Газа,…





„Заедно в борбата с огнената стихия“- кауза на Ротари клуб- Петрич за Коледния бал
Втори тур на президентските избори в Чили, народът избира между комунистка и консерватор ВИДЕО
8 000 румънци отново протестираха срещу корупцията в съдебната система
Москва: Мерц призна, че е в ход голяма геостратегическа промяна
Лавров: Русия вижда опасни тенденции в натрупването на военен потенциал и промяна в баланса на силите на Балканите
Национална гордост! Помните ли близнаците от "Детска планета"?! Хасан стана пианист №1 в света
Орбан: Изземването на замразени руски активи е обявяване на война на Русия
Девет души, помилвани от Лукашенко, пристигнаха в Литва, останалите 114 са отведени в Украйна
Дефект отложи изстрелването на руската ракета-носител „Протон-М“